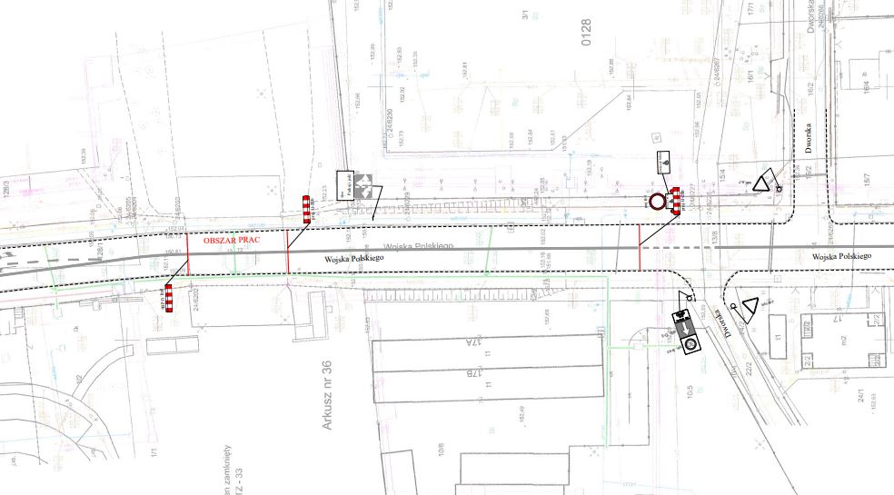
W weekend nieprzejezdna będzie ulica Wojska Polskiego
Od soboty (08.06) pod wiaduktem kolejowym w ciągu ulicy Wojska Polskiego będą prowadzone prace naprawcze związane z odwodnieniem. Fragment drogi zostanie całkowicie zamknięty dla ruchu kołowego.
Prace będzie prowadziła spółka Wodociągi i Kanalizacja z Opola. Będą one polegały na usunięciu awarii układu odwodnienia ulicy Wojska Polskiego pod wiaduktem kolejowym. Roboty będą wykonywane od soboty od godziny 12:00 do poniedziałku (10.06) do godziny 4:30.
W tym czasie ulica Wojska Polskiego będzie nieprzejezdna. Ze względu na technologię robót oraz na ograniczony obszar jezdni murami oporowymi wprowadzone zostanie całkowite zamknięcie fragmentu tej ulicy na odcinku blisko 100 metrów. Utrzymany z jednej strony będzie natomiast ruch pieszy (od strony Biedronki).
Zgodnie ze zgłoszoną tymczasową organizacją ruchu wprowadzone zostaną objazdy. W kierunku Raciborza i Krapkowic ulicami Niemodlińską i Prószkowską. W kierunku Kluczborka i Wrocławia ulicami Prószkowską oraz Niemodlińską. W czasie zamknięcia drogi wprowadzone czasowo zostanie oznakowanie pionowe, które między innymi będzie informowało o przebiegu tych objazdów.
Linie 5, 25 i N1 pojadą zmienioną trasą
Od soboty (8.06) do poniedziałku (10.06) autobusy linii 15, 25 i N1 będą kursowały według zmienionej trasy.
Autobusy linii 15 jadące w kierunku Wójtowej Wsi od przystanku „Niemodlińska-Koszyka” będą kursowały ulicami Niemodlińską i Prószkowską. Od przystanku „Prószkowska-Politechnika” autobusy wrócą na swoją standardową trasę. Trasa powrotna w kierunku centrum przebiegać będzie w analogiczny sposób.
Autobusy linii 25 jadące w kierunku Politechniki, od przystanku „Niemodlińska-Koszyka” pojadą ulicami: Niemodlińską, Prószkowską i Wróblewskiego, aż do przystanku „Wróblewskiego-Stawowa”, gdzie wrócą na swoją standardową trasę. Trasa powrotna w kierunku centrum przebiegać będzie w analogiczny sposób.
Autobusy linii N1 (w kierunku Wójtowej Wsi) kursować będą od przystanku „Niemodlińska-Dworzec Zachodni 1” ulicami Niemodlińską i Prószkowską, aż do przystanku „Prószkowska Politechnika”, dalej pojadą bez zmian. Trasa powrotna w kierunku centrum przebiegać będzie od przystanku „Prószkowska-Politechnika” ulicami Prószkowską i Niemodlińską do przystanku „Niemodlińska-Koszyka”.
Z obsługi komunikacyjnej wyłączone zostaną przystanki „Niemodlińska-Szkoła”, „Wojska Polskiego-Dworzec Zachodni”, „Wojska Polskiego-Biasa” oraz dla linii 15 i N1 również „Wróblewskiego-Szkoła”.
Zastępczo autobusy 15, 25 i N1 zatrzymywać się będą na przystankach tymczasowych: „Prószkowska” i „Prószkowska-Biasa”, a linii 25 dodatkowo na przystanku „Wróblewskiego-Szkoła”.
